PRP Gel Filler (Bio-Filler with Plasma Gel)

PRP Gel Filler: Natural Volume Restoration and Rejuvenation

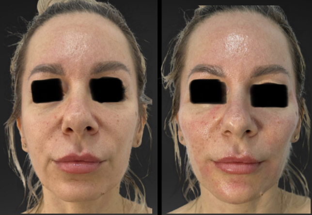
PRP Gel Filler, also known as Bio-Filler with Plasma Gel, is a revolutionary regenerative treatment that uses your body’s own plasma to restore lost volume, smooth wrinkles, and enhance your natural beauty. This autologous filler is ideal for individuals seeking a natural, allergy-free solution to facial aging.

What Is PRP Gel Filler?

PRP Gel Filler is a cutting-edge, autologous filler that uses plasma gel derived from your own blood to treat areas of volume loss, fine lines, and wrinkles. The gel is created by processing your blood to extract the plasma, which is then transformed into a gel-like substance that mimics the texture and appearance of natural fat. Once injected into the skin, PRP Gel Filler provides immediate volume and smoothing effects while also stimulating the body’s natural regenerative processes, such as collagen production. This treatment is ideal for individuals looking for a natural, long-lasting solution without the use of synthetic or animal-based fillers.

Benefits of PRP Gel Filler

Natural Volume Restoration
PRP Gel Filler uses your body’s own plasma to restore lost volume, providing a natural and subtle enhancement to facial contours.
Long-Lasting Effects
The treatment stimulates collagen production, ensuring long-lasting improvements in skin texture, elasticity, and volume.
Safe and Allergy-Free
As the filler is made from your own plasma, there is no risk of allergic reactions or rejection, making it a safe option for all skin types.
Improves Fine Lines and Wrinkles
In addition to adding volume, PRP Gel Filler helps smooth fine lines and wrinkles, particularly around the eyes, mouth, and forehead.
Stimulates Collagen Production
By encouraging collagen production, PRP Gel Filler provides ongoing skin rejuvenation, helping you maintain a youthful appearance for months after treatment.
Suitable for Multiple Areas
PRP Gel Filler can be used on the face, neck, and hands to restore volume, improve skin texture, and reduce signs of aging.

How Does PRP Gel Filler Work?

PRP Gel Filler works by utilizing your body’s own plasma to restore lost volume and rejuvenate the skin. During the procedure, a small amount of blood is drawn from the patient, and the plasma is separated and processed into a gel. This plasma gel is then injected into areas of the face, neck, or hands that have lost volume or developed fine lines and wrinkles. The gel adds immediate plumpness while also encouraging the production of collagen, which helps to improve skin elasticity and texture over time. The treatment is safe, natural, and free of side effects, as it uses your own cells.

Why Choose Bella Medical Aesthetics for PRP Gel Filler?

Frequently Asked Questions

Am I a candidate for PRP Gel Filler?
PRP Gel Filler is ideal for individuals seeking a natural, allergy-free solution to volume loss, fine lines, and wrinkles. It’s suitable for both men and women of various ages and skin types.
How long does PRP Gel Filler last?
Results from PRP Gel Filler can last for several months, depending on the area treated and individual factors like lifestyle and skin type. The treatment also stimulates collagen production for long-term benefits.
Is the procedure painful?
PRP Gel Filler is minimally invasive, and most patients experience only mild discomfort during the procedure. The treatment is typically well-tolerated and requires minimal downtime.
When will I see results?
You will notice immediate improvements in volume and skin texture after the treatment. Over the following weeks, the collagen-stimulating effects of PRP Gel Filler will continue to enhance your results.
Can PRP Gel Filler be combined with other treatments?
Yes, PRP Gel Filler can be combined with other fillers or skin rejuvenation treatments to achieve more comprehensive anti-aging results.